|
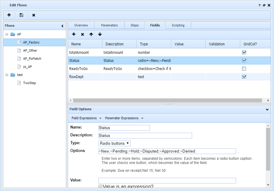
Flow fields describe data to be captured from users when a document is in the flow. Fields are displayed on the Action tab when viewing a flow document. In most cases, fields involve user entry, but there are also message fields and link (url) fields. Link fields can be helpful in opening related documents in a browser-based ERP application.

The following options are available:
| • | Name is an alphanumeric name for the field. It is used to create variables, so it must start with a letter and only contain letters, digits, and underscores.
|
| • | Description is a free text field
|
| • | Type defines what type of data this field stores or displays. The types include: |
| o | Short text or long text, for single-line text entry |
| o | Date for date input (should be set to yyyy-mm-dd format) |
| o | Checkbox to enable on/off selection |
| o | Radio buttons or selection lists to allow one-of-many selection |
| o | Lookups to enable operator lookup based on scripted lookup definitions |
| o | Hyperlink to open a URL in a new tab or window, the URL value generally defined by script code |
| o | Grid to enable grid data entry, the initial contents generally defined by script code. |
| o | Label to display a subheader in the entry table |
| o | Message to display a textual message in the entry table |
| o | Hidden to store a value that is not visible to the user |
| • | Options are required by some field types, such as radio buttons as shown above.
|
| • | Value is used to set an initial value, either hard-coded or by expression. The menu drop downs for field or parameter values can be used to generate expressions.
|
| • | Validation is a validation routine defined in the Image Manager tool, used to perform validation on the data provided for this field. A document cannot be finalized if any validation tests fail. Fields that fail validation are highlighted in the Action tab of the browser interface.
|
| • | Grid Column, if checked, adds this data field to the flow's document listing as a grid column or extra list field, so it can be used to sort the list.
|
|